Hawaii's most accurate home valuation tool.
Start Tracking your home's value today!
Start Tracking your home's value today!
Are you interested in a real estate career in Hawaii?
Vacant Land in Hove - Kau Hawaii
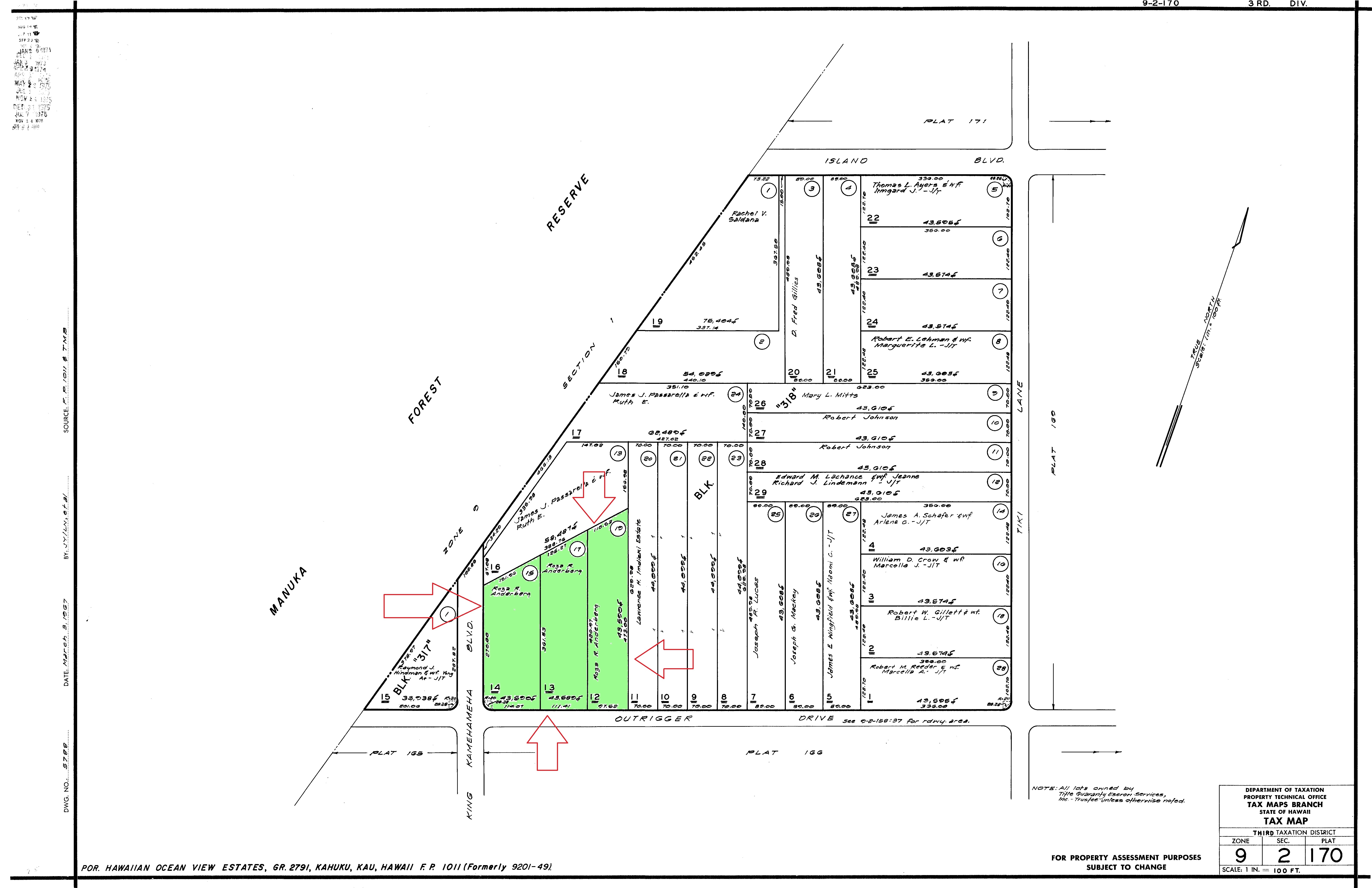
Welcome to 92-9308 King Kamehameha Blvd., a wonderful 'estate caliber' place for your Hawaiian Oceanview life. Own these three side by side acre lots at a nice price in Hawaiian Ocean View Estates (HOVE) above South Point on the Big Island of Hawaii. These lots are Kipuka (islands of forest) and are decently wooded in native old-growth Ohia trees, Pukiawe, Koa, and A'Ali'i. Comes with Rosemary, Eucalyptus Robusta, Aleppo pines, Ironwood trees, Deodar Cedar, Japanese Black pines, Agave, and other assorted ornamentals. This property has some features that belong in a national park! Manuka NAR is your neighbor 200’ away at the end of Outrigger Drive. Elevation is approximately 3760-3820 feet ASL. Dimensions are trapezoids for each lot, approximately 280 foot frontage on King Kamehameha Blvd. and 330 foot frontage on Outrigger Drive . The 3 TMKs included are 3-9-2-170-12+13+14. This 3 Acre package has several previously cleared (in 2003) large house/yard areas with 2 driveways, and surrounded by unspoiled land and privacy. Build new, be green, and go net zero with solar power. Ocean View has several commercial areas by Hwy 11 with grocery and hardware stores, restaurants, post office and Laundromat. Visit the nearby Black Sand beaches of Punaluu or Honomalino, or the spectacular Green Sand Beach at South Point. Hawaii Island is truly a land of contrasting beauty, satisfying your quest for tropical pleasures. Come buy this enchanting paradise today. The property is approximately a one hour drive to Kona. Refer to MLS# 649440.
Add the adjacent 2 Acres @ 92-2417 Outrigger Drive (TMKs 3-9-2-170-10/11 MLS# 724572) to make a larger 5 acre package!
92-9308 King Kamehameha Blvd Ocean View 96737 is listed Courtesy of Aloha O Kakou Lp
Congratulations, you have access to Hawaii's most comprehensive Real Estate Search! Please help us to better serve you by answering these optional questions.
This email is already registered. Click the button below and we'll send you a link to reset your password.
You have already registered using your FB account.
Check your inbox for an email from brokersmls@locationshawaii.com. It contains a link to reset your password.
The agent who gave you access to this website is no longer with Locations LLC.
Due to local MLS regulations, you will need to re-register if you would like to continue your access.
We will pre-fill the registration form with information in our files. Once you click Register you can either select a new agent or one will be assigned for you.
Sorry for the inconvenience, Locations LLC.
Request an appointment to view this property by completing the information below. Please note your appointment is not confirmed until an agent calls you.
Disclaimer: The properties we may show you may be Locations LLC listings or listings of other brokerage firms. Professional protocol requires agent to set up an appointment with the listings agent to show a property. Locations, LLC may only show properties marked "Active" and "ACS".
Keep your eye on this property! Save this listing and receive e-mail updates if the status of the property changes.
Share this property by completing the the form below. Your friend will receive an e-mail from you with a link to view the details of this property.
Send a message and we'll respond shortly.
We will not rent, share, or sell your information. Privacy Policy.